8 Jenis Penyakit pada Tanaman Jeruk & Cara Mengatasinya

Tidak sedikit petani jeruk yang mengalami kerugian besar akibat serangan penyakit yang sulit dikendalikan. Penyakit pada tanaman jeruk tersebut dapat menyerang bagian daun, batang, hingga buah, sehingga pertumbuhan tanaman terganggu.
Karena itu, penting untuk memahami apa saja penyakit pada tanaman jeruk serta bagaimana cara mengatasinya. Dengan pengetahuan yang tepat, Anda sebagai petani jeruk dapat melakukan tindakan pencegahan sejak dini.
8 Jenis Penyakit pada Tanaman Jeruk
Setiap jenis penyakit pada tanaman jeruk memiliki gejala khas serta penyebab yang berbeda, mulai dari bakteri, jamur, hingga faktor lingkungan. Memahami ciri-ciri penyakit ini menjadi langkah awal penting agar Anda dapat melakukan pencegahan dan penanganan secara tepat sejak awal.
Penyakit CVPD (Citrus Vein Phloem Degeneration)
Penyakit pada tanaman jeruk ini disebabkan oleh bakteri Candidatus Liberibacter asiaticus yang ditularkan melalui serangga kutu daun. Gejalanya antara lain daun menguning tidak merata, pertumbuhan kerdil, dan buah menjadi kecil serta rasanya pahit.
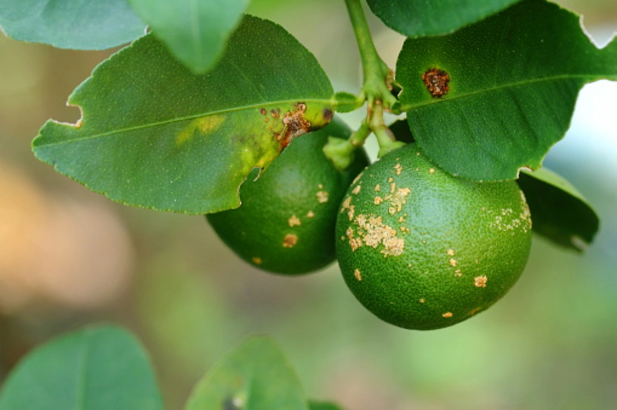
Penyakit Kudis (Scab)
Kudis pada jeruk disebabkan oleh jamur Elsinoë fawcettii yang bisa memunculkan bercak kecil berwarna cokelat pada daun muda, yang kemudian menebal dan membentuk kerutan. Pada buah, penyakit ini menimbulkan bercak kasar sehingga kualitas buah menurun, meski tidak selalu memengaruhi rasanya.
Penyakit Busuk Batang
Penyakit ini disebabkan oleh jamur Diplodia natalensis yang umumnya menyerang batang atau cabang tanaman jeruk yang terluka. Gejalanya berupa kulit batang yang mengering, retak, lalu mengelupas. Jika dibiarkan, cabang yang terinfeksi akan mati dan memengaruhi pertumbuhan tanaman secara keseluruhan.
Penyakit Embun Tepung
Penyakit ini disebabkan oleh jamur Oidium tingitaninum, gejalanya terlihat pada permukaan daun muda yang tertutup lapisan putih seperti bedak. Daun yang terinfeksi akan menggulung, kering, dan akhirnya gugur. Penyakit ini juga dapat menyerang bunga sehingga proses pembentukan buah terganggu.
Penyakit Busuk Akar
Penyakit ini disebabkan oleh jamur Phytophthora yang menyerang bagian akar hingga pangkal batang. Gejalanya berupa akar yang membusuk, daun layu, batang bergetah, dan tanaman mudah roboh. Penyakit ini sering muncul pada lahan jeruk dengan drainase buruk atau terlalu lembap.
Busuk Buah/Busuk Hijau
Penyakit busuk buah pada tanaman jeruk disebabkan oleh jamur Penicillium spp. Buah yang terserang menunjukkan bercak berair, lunak, dan berbau busuk. Penyakit ini banyak muncul ketika kelembapan tinggi, terutama saat musim hujan atau penyimpanan yang kurang baik.
Penyakit Tristeza
Penyakit Tristeza disebabkan oleh virus CTV (Citrus Tristeza Virus) yang ditularkan oleh kutu daun (Toxoptera citricida). Gejalanya berupa pertumbuhan kerdil, daun menguning, dan kerusakan pada batang bawah tanaman jeruk. Penyakit ini sangat berbahaya karena bisa mengakibatkan kematian seluruh pohon jeruk.
Penyakit Kanker Jeruk
Penyakit jeruk ini disebabkan oleh bakteri Xanthomonas axonopodis pv. citri. Gejalanya berupa bercak kecil berwarna cokelat pada daun, batang, dan buah dengan tepi berwarna kuning. Lama-kelamaan bercak tersebut menebal dan pecah sehingga buah rusak dan kualitas panen menurun drastis.
Penyakit Antraknosa
Penyakit antraknosa pada tanaman jeruk disebabkan oleh jamur Colletotrichum gloeosporioides yang menyebabkan bercak hitam atau cokelat pada buah jeruk, terutama saat musim hujan. Lama-kelamaan bercak ini akan meluas, daging buah membusuk, dan kualitas buah menurun.


7 Cara Mengatasi Penyakit Tanaman Jeruk yang Tepat
Untuk mengatasi penyakit pada tanaman jeruk yang sudah dijelaskan di atas, ada beberapa cara yang bisa Anda lakukan. Berikut beberapa cara mengatasi penyakit tanaman jeruk yang tepat dan efektif.
Menjaga Kebersihan Kebun
Sanitasi kebun sangat penting untuk mencegah penyebaran penyakit pada tanaman jeruk. Daun, ranting, atau buah yang terinfeksi sebaiknya segera dipangkas dan dibakar agar tidak menjadi sumber penularan. Gulma juga harus dibersihkan karena bisa menjadi tempat berkembangnya hama pembawa penyakit.
Perbaikan Drainase dan Kondisi Tanah
Banyak penyakit jeruk disebabkan oleh jamur yang berkembang di lahan dengan kelembapan tinggi. Oleh karena itu, pastikan sistem drainase kebun berfungsi baik. Jika perlu, lakukan penggemburan tanah secara berkala agar sirkulasi udara di sekitar akar tetap terjaga.
Penggunaan Bibit Sehat dan Tahan Penyakit
Langkah pencegahan terbaik adalah menanam bibit jeruk yang sehat, bebas penyakit, dan memiliki ketahanan terhadap serangan tertentu. Hal ini dapat menekan risiko serangan penyakit sejak awal masa tanam.
Pemangkasan dan Penyemprotan
Pemangkasan cabang yang terlalu rimbun akan membantu meningkatkan sirkulasi udara dan mengurangi kelembapan yang memicu jamur. Selain itu, penyemprotan dengan agen hayati atau pestisida nabati bisa dilakukan untuk menekan populasi bakteri, jamur, maupun vektor penyebar penyakit.
Pemupukan yang Tepat dan Berimbang
Tanaman jeruk yang dipupuk dengan baik akan tumbuh sehat serta lebih tahan terhadap serangan penyakit. Untuk itu, pemberian pupuk organik secara berimbang menjadi solusi penting, terutama dengan menggunakan rangkaian pupuk GDM berikut ini:
- GDM SAME: Menambah unsur mikroba baik untuk memperbaiki kualitas tanah.
- GDM Black BOS: Mempercepat dekomposisi bahan organik dan menekan patogen penyebab penyakit.
- Pupuk Organik Cair GDM Spesialis Buah-Buahan (GDM Buah): Mendukung pertumbuhan vegetatif dan generatif tanaman jeruk sehingga tanaman lebih produktif.
- Pupuk Organik Granule GDM: Memperbaiki struktur tanah dan menjaga ketersediaan nutrisi dalam jangka panjang.
Penggunaan Agen Hayati
Pemanfaatan agen hayati, seperti Trichoderma sp. atau Beauveria bassiana, sangat efektif dalam mengendalikan jamur patogen penyebab busuk akar, busuk batang, maupun embun tepung. Agen hayati ini bekerja secara alami sehingga lebih ramah lingkungan dibandingkan menggunakan fungisida kimia.
Pengendalian Hama Vektor Penyakit
Beberapa penyakit jeruk dapat ditularkan oleh serangga kutu loncat. Oleh karena itu, penting untuk melakukan pengendalian hama vektor dengan insektisida nabati atau perangkap alami. Dengan menekan jumlah vektor, risiko penyebaran penyakit dapat berkurang drastis.
Baca Juga: 4 Cara Ternak Burung Blackthroat agar Gacor & Rajin Berkicau
Petunjuk Pemakaian Rangkaian Pupuk GDM untuk Mengatasi Penyakit Tanaman Jeruk
Untuk mencegah, mengatasi, sekaligus meningkatkan daya tahan tanaman dalam menghadapi penyakit pada tanaman jeruk, Anda dapat menggunakan rangkaian pupuk GDM secara rutin. Berikut petunjuk pemakaian rangkaian pupuk GDM untuk satu hektare lahan tanaman jeruk yang bisa Anda lakukan secara mandiri.
Olah Tanah (-7 HST)
Sebelum menanam bibit tanaman jeruk, lakukan pemupukan dengan menggunakan GDM dan GDM Black BOS untuk mencegah penyakit pada tanaman jeruk, terutama yang berasal dari tanah. Untuk GDM SAME, tebarkan dosis 100 kg/Ha secara merata pada tanah.
Setelah itu, siapkan GDM Black BOS dengan dosis 5 kg/Ha. Campurkan tiap 1 gelas GDM Black BOS ke dalam satu tangki berisi air bersih, kemudian semprotkan secara merata ke tanah.
Pupuk I (0 – 1 Tahun)
Setelah bibit jeruk ditanam di lahan, lakukan pemupukan dengan menggunakan Pupuk Organik Granule (POG), GDM Black BOS, dan GDM Buah hingga tanaman jeruk berumur 1 tahun. Pertama, aplikasikan POG setiap 4 bulan sekali dengan dosis 100 gram per tanaman jeruk.
Kedua, aplikasikan GDM Black BOS setiap 4 bulan sekali dengan dosis 5 kg/Ha. Caranya, campurkan tiap 1 gelas GDM Black BOS ke dalam satu tangki berisi air bersih, kemudian semprotkan secara merata ke tanah.
Ketiga, aplikasikan GDM Buah setiap 1 minggu sekali dengan dosis 8 liter/Ha. Caranya, campurkan tiap 2 gelas GDM Buah ke dalam satu tangki berisi air bersih, kemudian semprotkan ke seluruh tanaman jeruk.
Pupuk II (≥ 1 Tahun)
Setelah tanaman jeruk berumur kurang lebih satu tahun, lakukan pemupukan tetap dengan menggunakan Pupuk Organik Granule (POG), GDM Black BOS, dan GDM Buah. Pertama, aplikasikan POG setiap 3 bulan sekali dengan dosis 200 gram per tanaman jeruk.
Kedua, aplikasikan GDM Black BOS setiap 3 bulan sekali dengan dosis 5 kg/Ha. Caranya, campurkan tiap 1 gelas GDM Black BOS ke dalam satu tangki berisi air bersih, kemudian semprotkan secara merata ke tanah.
Ketiga, aplikasikan GDM Buah setiap 1 minggu sekali dengan dosis 8 liter/Ha. Caranya, campurkan tiap 2 gelas GDM Buah ke dalam satu tangki berisi air bersih, kemudian semprotkan ke seluruh tanaman jeruk.
Cegah & Atasi Penyakit pada Tanaman Jeruk dengan Rangkaian Pupuk GDM!
Cegah dan atasi berbagai penyakit pada tanaman jeruk dengan cara yang lebih aman dan alami bersama rangkaian pupuk organik dari GDM. Kombinasi nutrisi lengkap dan mikroba baik di dalamnya mampu memperkuat ketahanan tanaman jeruk dari serangan patogen, sekaligus memperbaiki kualitas tanah agar tetap subur.
Gunakan rangkaian pupuk GDM sekarang juga untuk mendukung pertumbuhan tanaman jeruk yang optimal dan menjaga hasil panen tetap stabil. Untuk mendapatkan produk asli GDM serta konsultasi GRATIS langsung dengan tim ahli GDM, klik banner di bawah ini!





























